Huracán Flossie se fortalece a categoría 3
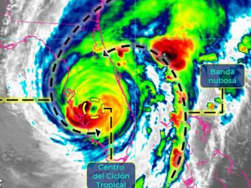
El meteoro avanza paralelo a Jalisco y Colima, provocando lluvias intensas y condiciones adversas en varias regiones. Durante la madrugada ...
El meteoro avanza paralelo a Jalisco y Colima, provocando lluvias intensas y condiciones adversas en varias regiones. Durante la madrugada ...
El ciclón impactará con vientos de hasta 185 km/h; autoridades piden extremar precauciones ante lluvias intensas en tres estados. Huracán ...
El ojo del huracán 'John' impactará entre Santiago Pinotepa Nacional, Oaxaca, y Copala, Guerrero, antes de las 23:00 horas. La ...
Unidades del Ejército, la Fuerza Aérea, la Guardia Nacional y la Marina han sido movilizadas en Campeche, Quintana Roo y ...
El huracán tiene vientos sostenidos de 195 km/h; esta es su trayectoria. El huracán Beryl ha perdido fuerza mientras avanzaba ...
Autoridades meteorológicas informan que 'Ian' ya se degradó a la categoría 3 en la escala Saffir Simpson El Huracán ‘Ian’ se degradó a ...
De acuerdo con el SMN, el meteoro se localiza cerca de las costas de Nayarit; Se desplaza con vientos de ...
La Conagua informó que el ciclón, junto con el Frente frío número 3, provocarán lluvias intensas en Chiapas, Jalisco, Guerrero, Michoacán, ...
Los pronósticos del NHC indican por ahora que el ciclón podría impactar el jueves en algún lugar entre los estados de Carolina del Sur, Carolina ...
Los expertos prevén un “debilitamiento gradual” de Florence a partir de esta noche hasta el viernes próximo, aunque podría “volver ...
La trayectoria pronosticada por Conagua indica que "Bud" viajará al norte y antes de tocar tierra el 15 de junio en ...
El SMN alertó porque Bud continuará intensificándose y desplazándose hacia el oeste-noroeste, paralelo a la costa mexicana El Servicio Meteorológico Nacional (SMN) reportó ...
"José" se ha convertido en el tercer huracán más poderoso de la actual temporada de tormentas. El huracán “José” alcanzó la ...
"Harvey" ya es categoría 3 El huracán Harvey alcanzó la categoría 3 mientras avanza hacia la costa de Texas, donde se ...
"Eugene" ya es huracán categoría 3 El huracán Eugene elevó su categoría a 3 y se localiza al suroeste de Baja California Sur, ...

© 2024 Paco Zea Todos los derechos reservados