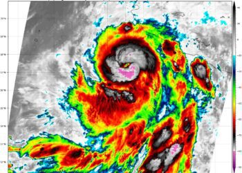
Huracán Flossie avanza por el Pacífico
El fenómeno continúa fortaleciéndose mientras se desplaza hacia el oeste; autoridades mantienen vigilancia ante posibles cambios en su ruta. El ...
El fenómeno continúa fortaleciéndose mientras se desplaza hacia el oeste; autoridades mantienen vigilancia ante posibles cambios en su ruta. El ...
Una joven de la ciudad portuguesa de Aveiro se hizo viral en las redes sociales después de grabar accidentalmente el ...
Usuarios en redes sociales bromearon con la espiral de humo en el cielo y dijeron que se trataba de un ...
Este fenómeno fue predicho por Einstein, cuando habló sobre los fenómenos más violentos del cosmos. Dos detectores separados por miles ...
El Mar de Galilea en realidad es un lago de agua dulce, por lo que un oleaje de esta magnitud ...
La luna del 31 de julio tendrá varias características que la hacen muy especial, en otras partes del mundo se ...
Los astrónomos han previsto que el próximo 4 de julio se genere otro fenómeno llamado “afelio”, en donde el Sol ...
El fenómeno fue captado por algunos automovilistas que quedaron sorprendidos por la luz verde que atravesó el cielo
Lo que llama la atención incluso de los que estudian esta clase de figuras es el tamaño del disco de hielo ...
La tromba marina es un fenómeno atmosférico con forma de embudo que se mueve a gran velocidad sobre el mar ...
Se prevé que a partir de este lunes las costas del Pacífico Mexicano se desarrollen olas que pueden alcanzar una ...
© 2024 Paco Zea Todos los derechos reservados