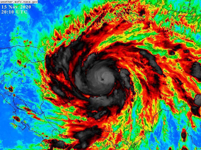
Iota se disipa pero amenaza con más lluvias en Centroamérica y Yucatán
Se advierten posibles corrientes marinas que afectarán la mayoría de la costa de Centroamérica y la Península de Yucatán este ...
Se advierten posibles corrientes marinas que afectarán la mayoría de la costa de Centroamérica y la Península de Yucatán este ...
Nicaragua reportó ráfagas de vientos fuertes, precipitaciones, caídas de árboles, de postes de luz y desprendimiento de techos El huracán ...
Las autoridades iniciaron evacuaciones en las zonas bajas de Nicaragua y Honduras, azotadas recientemente por el huracán "Eta". El huracán Iota avanzaba el ...
"Se pronostica que Iota será un huracán de categoría 4 extremadamente peligroso cuando se acerque a Centroamérica", advirtió el Centro ...
Este sistema puede convertirse en un huracán mayor cuando se aproxime a Nicaragua y Honduras a partir de la noche ...
© 2024 Paco Zea Todos los derechos reservados