Harfuch: el cártel Gente Nueva está detrás del ataque en Tecpan
Once de los 15 detenidos tras el tiroteo en Tecpan de Galeana, Guerrero, que dejó un saldo de 19 muertos, ...
Once de los 15 detenidos tras el tiroteo en Tecpan de Galeana, Guerrero, que dejó un saldo de 19 muertos, ...
Alba Soberanis Hernández, presidenta Municipal de Tecpan, Guerrero, afirmó que los sicarios se están esparciendo por la ciudad Por medio ...
Omar García Harfuch, titular de la SSPC, informó que el saldo de enfrentamiento con el Ejército en Tecpan fue de ...
Dos atentados en Jerécuaro y Acámbaro dejaron tres heridos, además de daños en viviendas, autos y suspensión de actividades. Dos ...
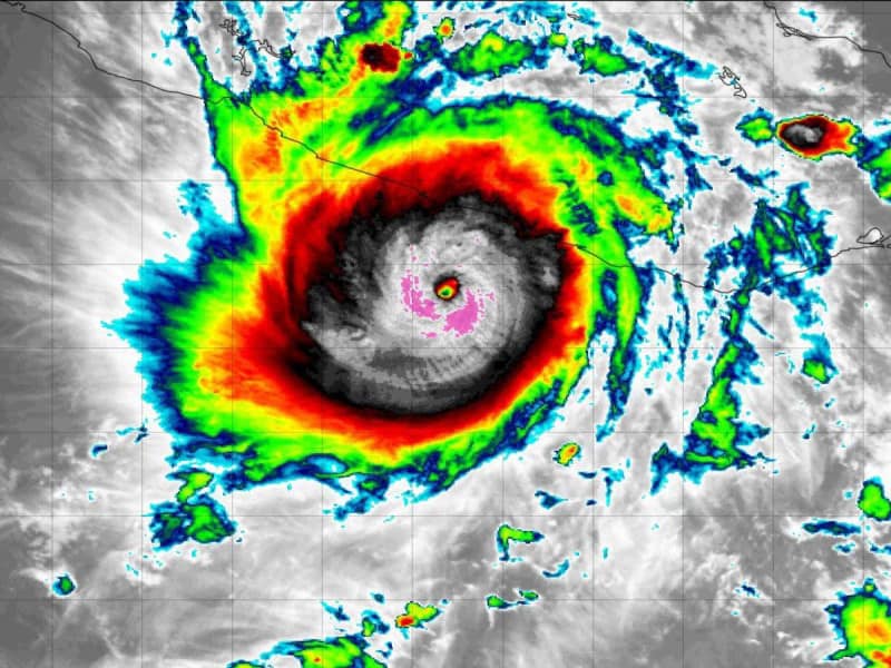
'Otis' se prevé que toque tierra durante la madrugada del miércoles 25 de octubre como un huracán de categoría 4 ...
Civiles armados fueron repelidos a un costado de la vía federal que conecta Acapulco con Zihuatanejo, al sur de la ...
El Servicio Sismológico Nacional (SSN) reportó que a las 08:00 horas de este sábado se registró un movimiento de tierra de ...
El sistema no generó señal de alerta porque la energía desarrollada durante los primeros segundos no superó los niveles de ...
Usuarios de redes sociales reportaron que el sismo se sintió en zonas del sur y centro de la Ciudad de ...
Simulacro La Secretaría de Protección Civil de la Ciudad de México, informo que este año el simulacro de temblor para conmemorar ...

© 2024 Paco Zea Todos los derechos reservados